【外観】
- 物件名
- 平田土地
- 価格
- 850万円
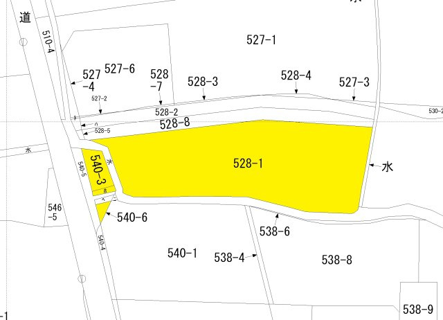
- 土地面積
- 526.61㎡
- 築年月
- -(-)
- 総区画数
- -
- 設備条件
-
- 設備(その他)
-
-
-
- 駐車場/月額
- -/-
- 土地権利
- 所有権
- 国土法届出
- 不要
- 用途地域
- 無指定
- 区画数
- - / -
- 管理形態
- -
- 管理員の勤務形態
- -
- 管理会社
- -
- 取引態様
- 一般媒介
- 引渡し
- 即時
- 開発許可番号
- -
- 備考
- 便利なスーパー「Mammy's(マミーズ) 後ノ江店」まで459mです。周辺環境が充実している売地はこちらです。土地面積は623.61㎡(公簿)あります。接道幅10m以上あれば車の出し入れが非常に楽です。八女市の鹿児島本線羽犬塚周辺で土地をお探しなら、ヒトトイエ 本店まで遠慮なくお問い合わせくださいませ。
-
小学校
八女市立上妻小学校
202m(3分)
-
スーパー
マミーズ 後ノ江店
455m(6分)
-
スーパー
Mammy's(マミーズ) 後ノ江店
459m(6分)
-
コインランドリー
WASH(ウォッシュ)ハウス *
468m(6分)
-
自動車教習所
八女中央自動車学校
489m(7分)
-
美容室
クローバー*
590m(8分)
-
外科
川崎病院
606m(8分)
-
その他
株式会社馬場市助商店*
634m(8分)
-
コンビニエンスストア
セブンイレブン 八女井延店
659m(9分)
-
外科
川崎病院
761m(10分)
-
保育園
社会福祉法人隆盛会上妻保育園
859m(11分)
-
スーパー
マルキョウ 八女店
1011m(13分)
-
郵便局
八女祈祷院郵便局*
1026m(13分)
-
コンビニエンスストア
ミニストップ 八女鈍土羅店*
1104m(14分)
-
ドラッグストア
DRUG STORE MORI(ドラッグストアモリ) 納楚店
1136m(15分)
-
幼稚園
白百合幼稚園 伸びる子クラス
1235m(16分)
-
幼稚園
認定こども園白百合幼稚園
1241m(16分)
-
家電製品
エディオン祈祷院店*
1272m(16分)
平田土地の基本情報
平田土地の詳細情報
平田土地のコメント(おすすめポイント)
平田土地で募集中の物件
周辺施設
近隣の物件
よく見られている物件
平田土地
お気軽にお問い合わせください
株式会社 ヒトトイエ 本店
0943303311
09:00~18:00(お客様専用駐車場ございます!)
(休:定休日:水曜日(土・日・祝日営業中)※久留米店定休水曜日)

